nedelja, 14. dec 2025.
  • NAJNOVIJE
  • HOROSKOP
  • HYPE ŽENA
Pretraga
Hype TV
Ad imageAd image
  • Naslovna
  • VESTI
    • DRUŠTVO
    • KULTURA
  • POLITIKA
  • HYPE ZVEZDE
  • SHOWBIZ
  • JET SET
  • Rijaliti
  • SPORT
  • HRONIKA
Reading: Najjači uragan u istoriji: Naređena masovna evakuacija
Font ResizerAa
Hype TVHype TV
  • NASLOVNA
  • VESTI
  • POLITIKA
  • HYPE ZVEZDE
  • SHOWBIZ
  • JET SET
  • RIJALITI
  • SPORT
  • HRONIKA
  • TV PROGRAM
  • NASLOVNA
  • VESTI
    • DRUŠTVO
    • KULTURA
  • POLITIKA
  • HYPE ZVEZDE
  • SHOWBIZ
  • JET SET
  • RIJALITI
  • SPORT
  • HRONIKA
  • TV PROGRAM
Pratite nas
© 2025 Hype TV
Home » Najjači uragan u istoriji: Naređena masovna evakuacija
DRUŠTVOVESTI

Najjači uragan u istoriji: Naređena masovna evakuacija

28.10.2025 | 01:00
DRUŠTVO VESTI
Vreme čitanja 1 min.
Podeli

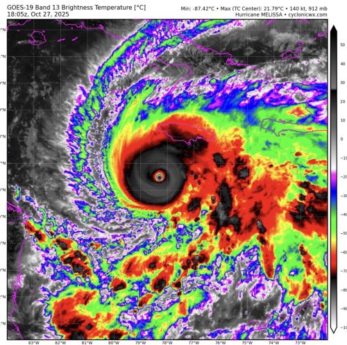
Američki Nacionalni centar za uragane upozorava da je reč o ekstremno opasnom sistemu čije sporo kretanje povećava rizik od razarajućih poplava i klizišta. Procene meteorologa ukazuju da bi u naredna četiri dana na Jamajci moglo pasti i do jedan metar kiše, što bi dovelo do katastrofalnih posledica po infrastrukturu i stanovništvo.

CEO VIDEO POGLEDAJTE KLIKOM OVDE

Premijer Endru Holnes naredio je hitnu evakuaciju pojedinih naseljenih područja, naročito u glavnom gradu Kingstonu i u nizijama.

„Pripremite se, ostanite u domovima i poštujte naloge o evakuaciji. Prebrodićemo ovo i izgradićemo jaču Jamajku”, rekao je Holnes.

CEO VIDEO POGLEDAJTE KLIKOM OVDE

Uragan je već pogodio Haiti i Dominikansku Republiku, gde je najmanje četvoro ljudi izgubilo život, dok su stotine domova poplavljene. Nakon Jamajke, očekuje se da Melisa pogodi jug Kube u utorak uveče, a zatim da nastavi prema Bahamima.

Lokalne vlasti pozvale su građane da ostanu mirni, prate zvanična saopštenja i preduzmu sve mere zaštite kako bi se umanjile posledice nadolazeće oluje.

CEO VIDEO POGLEDAJTE KLIKOM OVDE

Hypetv.rs/ N.Š.

GLEDAJTE NAS!

Čitajte Hypetv.rs portal, najbrži portal u Srbiji i regionu sa najvećim rastućim rezultatima i ekskluzivnim vestima. Zapratite nas i na Instagramu, Facebook, Threads!

ČITAJTE NAS I NA HYPETV KANALIMA WHATSAPP, VIBER I TELEGRAM.

OZNAKE:Amerikanajveći u istorijiUraganUragan Melisa
Podeli
Facebook Whatsapp Whatsapp Threads Email Copy Link Print
Prethodna objava EVO GDE ŽIVI MILOMIR MARIĆ SA SVOJOM SUPRUGOM! Salonac kod Botaničke bašte vredi MILIONE (FOTO)
Sledeća objava SNEG ĆE UJUTRU ZABELETI SRBIJU! Šok najava RHMZ, od prekosutra opet PROLEĆNE temperature
Nema komentara

Ostavite odgovor Odustani od odgovora

Vaša adresa e-pošte neće biti objavljena. Neophodna polja su označena *

Pratite nas

FacebookLike
InstagramFollow
YoutubeSubscribe
TiktokFollow

Najnovije

„MOJA DECA VEČERAS NISU HTELA DA DOĐU NA KONCERT“ Bojan iz Leksington benda ŠOKIRAO PRIZNANJEM, a evo šta je uradio zbog supruge!

HOROR NA PUTU PARAĆIN–ZAJEČAR! Više povređenih, među njima i DECA!

SKORO DEVET GODINA JE U RIJALITIJU! Evo koliki je HONORAR LEPOG MIĆE, od cifre će vam se ZAVRTETI U GLAVI

UŽAS I STRAVA NA VOŽDOVCU! Dečak (14) IZBODEN U GRUDI, hitho hospitalizovan

„MOJ SIN JE DVA PUTA ŽELEO DA SE UBIJE ZBOG ANELI“ Asminov otac OTKRIO STRAVIČNE DETALJE: „Odreći ću ga se ako…“

JAVNOST U ŠOKU! Božo Vrećo u mikro trikou i kaubojkama, tetovaže u prvom planu, napravio opštu pometnju ovim izdanjem! (FOTO)

Ne propustite

„NAKON LINČA KOJI SAM PROŠAO, ISTINA JE IZAŠLA NA VIDELO“ Aca Lukas UPUTIO MOĆNU PORUKU: „Vreme je da ZAVRŠIM ovu priču, PEVAĆU SVUDA PO SVETU JER SAM U PRAVU“ (VIDEO)

SHOWBIZ VESTI

SVE JE NAMEŠTALJKA! „ZNALI SMO DA ĆE ISTINA NAĆI SVOJ PUT“ Saša Mirković razotkrio pozadinu svega: „Dodik je namestio Lukasu sliku sa Orićem“

SHOWBIZ VESTI

„PLAĆAO SAM REKET POLUKRIMOSIMA!“ Boki 13 izneo šokantne detalje: „Nisam reketirao ljude, mene JESU!“ (VIDEO)

SHOWBIZ VESTI

„TRAŽILA JE NEKOLIKO HILJADA EVRA“ Asminov otac do srži raskrinkao TAJNE STANIJE DOBROJEVIĆ, zapretio joj JAVNO!

Rijaliti VESTI
Prikaži više
2787641c-092d-4dcf-8bd1-654231d30950

ČITAJTE NAS I NA HYPE TV KANALIMA WHATSAPP, VIBER I TELEGRAM

Čitajte Hypetv.rs portal, najbrži portal u Srbiji i regionu sa najvećim rastućim rezultatima i ekskluzivnim vestima. Zapratite nas i na društvenim mrežama Instagram, Facebook, Threads, TikTok!
  • Impresum
  • Politika privatnosti
  • Uslovi korišćenja
  • Kontakt
Pratite nas
2025 © Hype TV
Welcome Back!

Sign in to your account

Username or Email Address
Password

Lost your password?